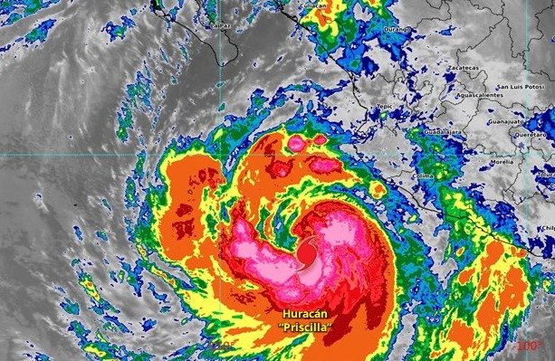
Priscila se fortalece como huracán y genera fuertes lluvias en 6 estados
Priscilla se mantiene como huracán de categoría 1 en la escala Saffir-Simpson, pero intensificó sus vientos mientras se desplaza lentamente hacia el nor-noroeste, a 7 kilómetros por hora (km/h).
A las 09:00 horas, tiempo del centro de México, se localizó a 370 kilómetros (km) al sur-suroeste de Cabo Corrientes, Jalisco, y a 655 km al sur-sureste de Cabo San Lucas, Baja California Sur, con vientos máximos sostenidos de 140 km/h y rachas de 170 km/h.

Sus desprendimientos nubosos generarán lluvias intensas (de 75 a 150 milímetros [mm]) en Colima y el este y la costa de Jalisco; muy fuertes (de 50 a 75 mm) en Nayarit, el sur de Sinaloa, la costa de Michoacán y el suroeste de Guerrero, así como fuertes (de 25 a 50 mm) en el sur de Baja California Sur.
Asimismo, se prevén vientos de 60 a 70 km/h con rachas de 80 a 100 km/h en Jalisco y Colima; de 30 a 40 km/h con rachas de 50 a 70 km/h en el sur de Baja California Sur y costas de Michoacán, y de 10 a 25 km/h con rachas de 40 a 50 km/h en Nayarit y el sur de Sinaloa.

Se prevé oleaje de 5 a 6 metros (m) de altura en costas de Jalisco y Colima, de 3 a 4 m en costas de Michoacán y de 2 a 3 m en Nayarit, el sur de Baja California Sur cy el oeste de Guerrero.
Por a lo anterior, se establece zona de vigilancia por efectos de tormenta tropical desde Cabo San Lucas hasta Santa Fe, en Baja California Sur, y se mantiene desde Punta San Telmo, Michoacán, hasta Punta Mita, Nayarit.
Por los efectos que genera el huracán Priscila, desde 23:00 horas de este domingo, en colima se cerró el puerto a todo tipo de navegación hasta nuevo aviso.

Una zona de baja presión se prevé se forme frente a las costas de Chiapas, Oaxaca, Guerrero, Michoacán y Colima. Mantiene 60 % de probabilidad para desarrollo ciclónico en 7 días.
En el océano Atlántico, una zona de baja presión asociada con una onda tropical al suroeste de las islas Cabo Verde, África, mantiene 50 % de probabilidad para desarrollo ciclónico en 48 horas y 70 % en 7 días.
Se localiza a 5,660 km a este de Cancún, Quintana Roo. Se prevé que podría evolucionar a ciclón tropical en los próximos días.



